このところ、雨期終了間際にして雨がよく降る!
植物にお水をあげなくてもぐんぐん育って来ています。
ちなみにビーチにキノコまで生えて来ています。
最近日本人ゲストが少ないのですが、先週久々にチェックダイブをしました。
午前中の方が透明度がいいので結構いろいろ見れました。
これは18m付近の写真、赤いイソギンチャク。フラッシュ無くても赤く見えますね。 
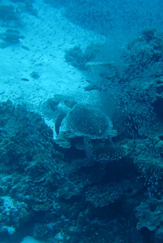
ウミガメ(タイマイ)が20m付近を泳いでいました。
せっかく撮っても、小魚の中に埋もれてるし
かなり邪魔ですね。。。手でちょっと追っ払って撮りました。
7ヶ月前は5センチにも満たない大きさでしたが、今はその倍以上のサイズのリーフ・フィッシュ 
子供から大人になりかけのナポレオン、ここにはもっと大きなサイズも現れます。
そして子供も2匹くらい居ます。 ちょっと遠かったですが結構はっきり見えてますね。 
そして水深1mちょっとの所にいつも居るタコ、私の事は知っているみたいで逃げません。
いつもじーっとこちらを見ています。
そしてこちらは昨日の午後、デヴァマーガラーと言うダイブサイトで見たマーブルレイ。
スチィングレイの仲間です。
やっぱりちょっと透明度が落ちてますか? ボヤケてますね。。。これは20m付近です
昨日の午前中もかなり流れはありましたが透明度は抜群でした。
水温は28度から30度くらいです。 今日はピカピカに晴れています。
今日が最後のダイビングと言っていたダイバー、喜んでもらえたらいいな。













