先日、ハネムーンカップルのダイバーさんにリフレッシュコースをして、その日の午後にボートトリップにも行きました。
透明度はそれほどいいとは言えないコンディション、ハウスリーフの方が視界は良かったかな?という感じでしたが
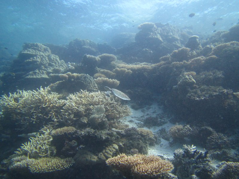
ウミガメ2匹と遭遇しました。
(ハウスリーフでもタイマイが泳いでいましたが近づいたらさりげなーく遠ざかっていきました。)
でも、午後に行ったサイトでは珊瑚の上にじっと座って動かなかった。
遠目で見つけた時はこんな感じでこちらを眺めていました。
しばらく見ていても逃げずにこちらを見ていたのでちょっと近寄ってみました。
いつもこうとはいきませんが、モルディブでは結構カメさんはリラックスしています。
アオウミガメの方がダイバー/スノーケラーを見つけると逃げてしまうことが多いです。
私たちにむやみに追いかけられたり触られたりすると、私たちを見ただけで遠ざかってしまうので
急に寄っていったりせず、向こうが寄ってくるのを待つのが一番です。








すごい世界に棲んでいるあなたが羨ましい。。。