昨日は午前中 ハウスリーフのチャンネルの目印のブイの補修と取り付けをしました。
皆さんが安全にスノーケルを楽しめるように
エントリー&エキジットポイントの目印になっています。
ここを通れば珊瑚を傷つけることなく自分たちも傷つかない。。。
皆さんが安全にスノーケルを楽しめるように
エントリー&エキジットポイントの目印になっています。
ここを通れば珊瑚を傷つけることなく自分たちも傷つかない。。。
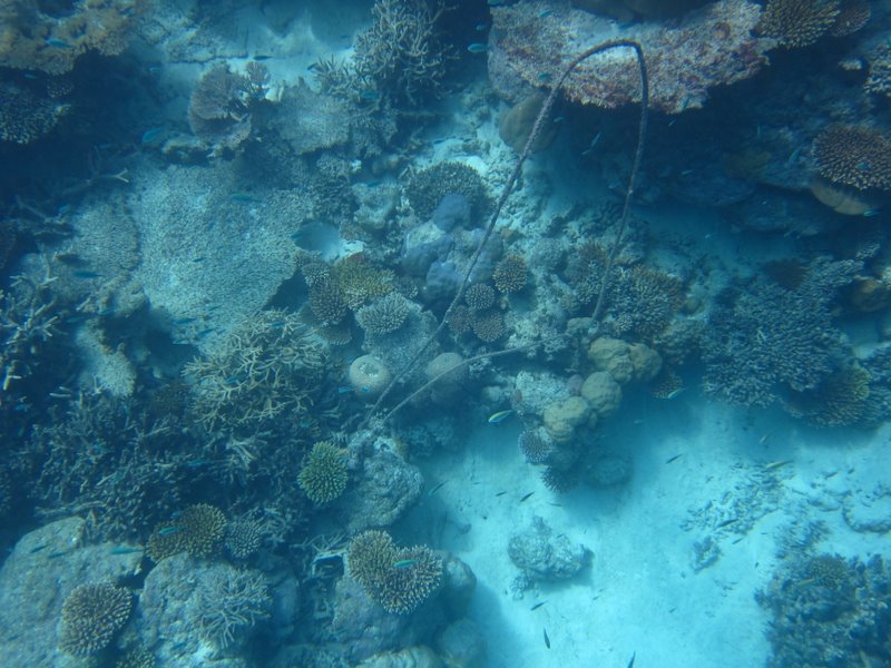
そのブイがいくつか無くなってしまっていたり、
くくり付けた岩がひっくり返ってロープが下敷きになっているのとかを 付け替えるのですが、
島の周りをぐるっと回るので小さなボートを出してもらって一人で取り付け作業をしました。
取り付けてある岩は6m前後なので水面と7mと行ったり来たり、
ロープが珊瑚に当たってこすれない様に場所を移動したり、
1カ所に30分くらいかかったりちょっとだけロープを切って繋げたり、
全部で4カ所補修しました。
嵐のせいでちぎれてなくなったのかな?
と思うものやナイフてすぱっと切ってブイだけ無くなっていたり。。。
これは夜に漁師の船が持っていっちゃったんでしょうね。。。苦笑
時々ビーチに流れ着いたブイを私たちも見かけるのでまぁ、おあいこってことですかね。
最近欲しいダイビング機材、、、実はナイフです。
ゴミ拾いしていたり、釣り糸がこんがらがっているのを切る時に有ると便利だな〜ッて最近思ってます。
後グローブ、
でもモルディブは基本的にグローブ禁止なんですが、
やっぱりゴミ拾いやこんな作業する時ははめたい、
昨日は軍手してやりましたが作業中に穴があいてしまった。
ナイフで一緒に切っちゃったみたい。。。


